Codice
924
Terratetto
Terratetto
Via Roma 66042 Bomba (CH)
-
186Superficie catastale
-
plPiano
-
9.5Locali
-
2Bagni
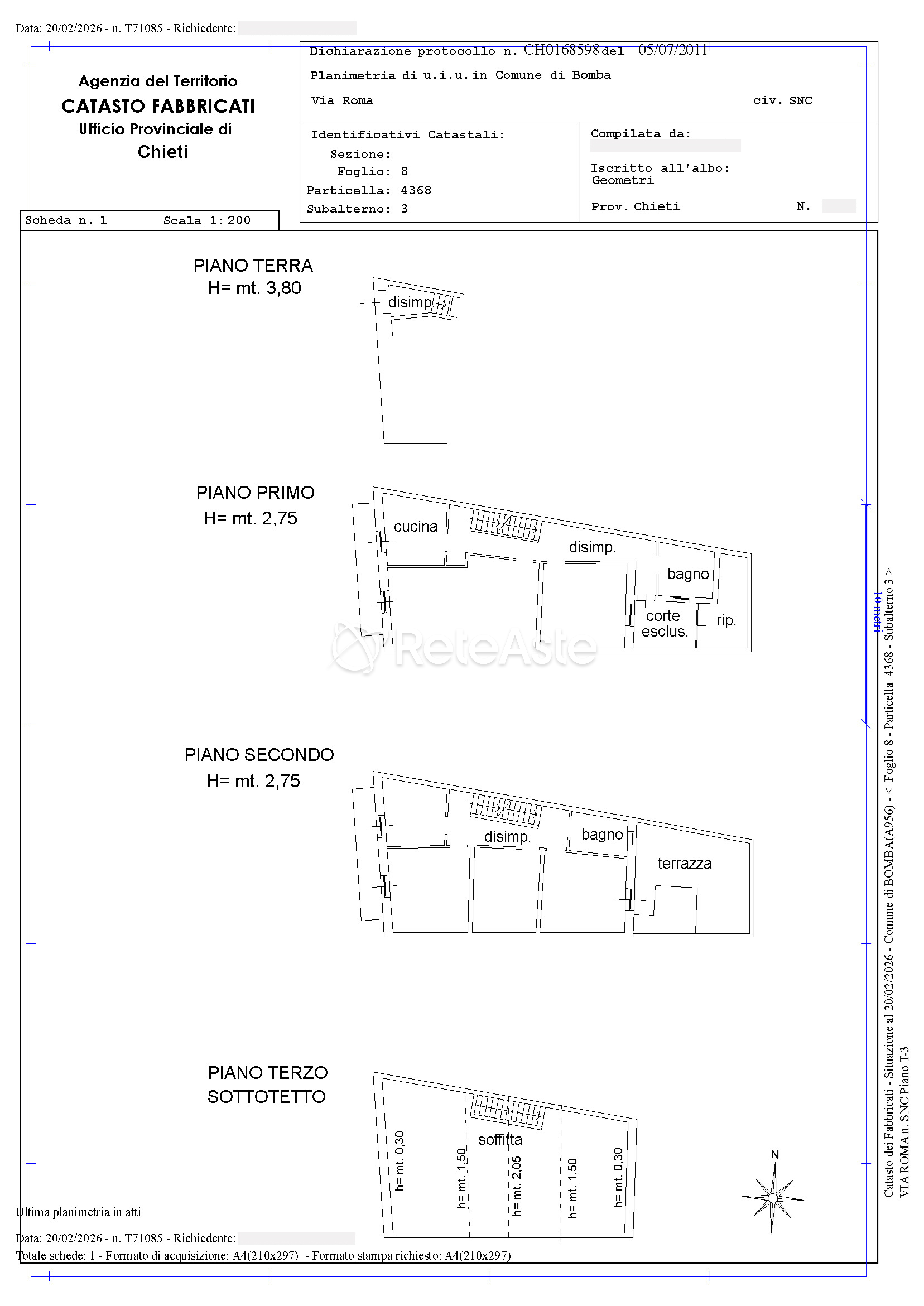
Abitazione da cielo a terra sviluppata su quattro livelli (piano terra, primo, secondo e terzo/sottotetto) per una superficie complessiva di circa 186 mq, oltre a garage di 70 mq al piano terra con accesso carrabile dalla pubblica via.
Al piano terra si trova il vano scala che conduce ai livelli superiori e il garage.
Il primo piano ospita la zona giorno, composta da cucina, soggiorno, tinello, disimpegno, bagno e ripostiglio, completata da una piccola corte esclusiva con portico e balcone.
Il secondo piano è adibito a zona notte e comprende quattro camere da letto, bagno e disimpegno, con terrazza esclusiva sul retro e balcone.
Il terzo piano è un unico ambiente destinato a soffitta.
Situato su uno sperone roccioso che domina la Val di Sangro, Bomba è un borgo di origini medievali dal fascino autentico, con un centro storico caratterizzato da vicoli suggestivi e palazzi nobiliari.
La zona è rinomata per l’olio extravergine d’oliva e per la cucina tradizionale frentana, basata su prodotti locali genuini. A pochi minuti dal centro si trova il Lago di Bomba, bacino artificiale creato negli anni ’50, meta ideale per canottaggio, windsurf, pesca sportiva ed escursioni in canoa. Lungo le sponde si trovano villaggi turistici, campeggi, ristoranti e percorsi per trekking e mountain bike. Collegamenti e distanze: Lago di Bomba: 5 minuti in auto Costa dei Trabocchi (Mare): 30 minuti (Fossacesia) Località Sciistiche: 45 minuti (Roccaraso) Autostrada A14: 25 minuti (uscita Val di Sangro)
Al piano terra si trova il vano scala che conduce ai livelli superiori e il garage.
Il primo piano ospita la zona giorno, composta da cucina, soggiorno, tinello, disimpegno, bagno e ripostiglio, completata da una piccola corte esclusiva con portico e balcone.
Il secondo piano è adibito a zona notte e comprende quattro camere da letto, bagno e disimpegno, con terrazza esclusiva sul retro e balcone.
Il terzo piano è un unico ambiente destinato a soffitta.
Situato su uno sperone roccioso che domina la Val di Sangro, Bomba è un borgo di origini medievali dal fascino autentico, con un centro storico caratterizzato da vicoli suggestivi e palazzi nobiliari.
La zona è rinomata per l’olio extravergine d’oliva e per la cucina tradizionale frentana, basata su prodotti locali genuini. A pochi minuti dal centro si trova il Lago di Bomba, bacino artificiale creato negli anni ’50, meta ideale per canottaggio, windsurf, pesca sportiva ed escursioni in canoa. Lungo le sponde si trovano villaggi turistici, campeggi, ristoranti e percorsi per trekking e mountain bike. Collegamenti e distanze: Lago di Bomba: 5 minuti in auto Costa dei Trabocchi (Mare): 30 minuti (Fossacesia) Località Sciistiche: 45 minuti (Roccaraso) Autostrada A14: 25 minuti (uscita Val di Sangro)
House developed from top to bottom on four levels (ground floor, first, second, and third/attic) for a total area of about 186 sqm, in addition to a 70 sqm garage on the ground floor with driveway access from the public road.
On the ground floor, there is the staircase leading to the upper levels and the garage.
The first floor houses the living area, consisting of a kitchen, living room, dining room, corridor, bathroom, and storage room, completed by a small exclusive courtyard with a porch and balcony.
The second floor is dedicated to the sleeping area and includes four bedrooms, a bathroom, and a corridor, with an exclusive terrace at the back and balcony.
The third floor is a single space intended for an attic.
Situated on a rocky outcrop overlooking the Val di Sangro, Bomba is a medieval village with authentic charm, featuring a historic center characterized by charming alleys and noble palaces.
The area is renowned for extra virgin olive oil and traditional Frentana cuisine, based on genuine local products. A few minutes from the center is Lake Bomba, an artificial reservoir created in the 1950s, an ideal destination for canoeing, windsurfing, sport fishing, and canoe excursions. Along the shores are tourist villages, campsites, restaurants, and trekking and mountain biking trails. Linkages and distances: Lake Bomba: 5 minutes by car Adriatic Coast (Sea): 30 minutes (Fossacesia) Ski Resorts: 45 minutes (Roccaraso) A14 Motorway: 25 minutes (Val di Sangro exit)
On the ground floor, there is the staircase leading to the upper levels and the garage.
The first floor houses the living area, consisting of a kitchen, living room, dining room, corridor, bathroom, and storage room, completed by a small exclusive courtyard with a porch and balcony.
The second floor is dedicated to the sleeping area and includes four bedrooms, a bathroom, and a corridor, with an exclusive terrace at the back and balcony.
The third floor is a single space intended for an attic.
Situated on a rocky outcrop overlooking the Val di Sangro, Bomba is a medieval village with authentic charm, featuring a historic center characterized by charming alleys and noble palaces.
The area is renowned for extra virgin olive oil and traditional Frentana cuisine, based on genuine local products. A few minutes from the center is Lake Bomba, an artificial reservoir created in the 1950s, an ideal destination for canoeing, windsurfing, sport fishing, and canoe excursions. Along the shores are tourist villages, campsites, restaurants, and trekking and mountain biking trails. Linkages and distances: Lake Bomba: 5 minutes by car Adriatic Coast (Sea): 30 minutes (Fossacesia) Ski Resorts: 45 minutes (Roccaraso) A14 Motorway: 25 minutes (Val di Sangro exit)
Un logement développé sur quatre niveaux (rez-de-chaussée, premier, deuxième et troisième /grenier) pour une surface totale d'environ 186 m², avec un garage de 70 m² au rez-de-chaussée accessible depuis la voie publique.
Au rez-de-chaussée se trouve l'escalier menant aux niveaux supérieurs et le garage.
Le premier étage abrite la zone jour, composée d'une cuisine, d'un salon, d'une salle à manger, d'un dégagement, d'une salle de bains et d'un débarras, complétée par une petite cour exclusive avec un porche et un balcon.
Le deuxième étage est dédié à la zone nuit et comprend quatre chambres, une salle de bain et un dégagement, avec une terrasse exclusive à l'arrière et un balcon.
Le troisième étage est un espace unique destiné au grenier.
Niché sur un éperon rocheux dominant la vallée de Sangro, Bomba est un village d'origine médiévale au charme authentique, avec un centre historique caractérisé par des ruelles pittoresques et des palais nobles.
La région est renommée pour son huile d'olive extra vierge et sa cuisine traditionnelle frentana, basée sur des produits locaux authentiques. À quelques minutes du centre se trouve le lac de Bomba, un réservoir artificiel créé dans les années 1950, idéal pour la pratique de l'aviron, de la planche à voile, de la pêche sportive et des excursions en canoë. Le long des rives se trouvent des villages touristiques, des campings, des restaurants et des sentiers de randonnée et VTT. Liaisons et distances : Lac de Bomba : 5 minutes en voiture Côte des Trabocchi (Mer) : 30 minutes (Fossacesia) Stations de ski : 45 minutes (Roccaraso) Autoroute A14 : 25 minutes (sortie Val di Sangro)
Au rez-de-chaussée se trouve l'escalier menant aux niveaux supérieurs et le garage.
Le premier étage abrite la zone jour, composée d'une cuisine, d'un salon, d'une salle à manger, d'un dégagement, d'une salle de bains et d'un débarras, complétée par une petite cour exclusive avec un porche et un balcon.
Le deuxième étage est dédié à la zone nuit et comprend quatre chambres, une salle de bain et un dégagement, avec une terrasse exclusive à l'arrière et un balcon.
Le troisième étage est un espace unique destiné au grenier.
Niché sur un éperon rocheux dominant la vallée de Sangro, Bomba est un village d'origine médiévale au charme authentique, avec un centre historique caractérisé par des ruelles pittoresques et des palais nobles.
La région est renommée pour son huile d'olive extra vierge et sa cuisine traditionnelle frentana, basée sur des produits locaux authentiques. À quelques minutes du centre se trouve le lac de Bomba, un réservoir artificiel créé dans les années 1950, idéal pour la pratique de l'aviron, de la planche à voile, de la pêche sportive et des excursions en canoë. Le long des rives se trouvent des villages touristiques, des campings, des restaurants et des sentiers de randonnée et VTT. Liaisons et distances : Lac de Bomba : 5 minutes en voiture Côte des Trabocchi (Mer) : 30 minutes (Fossacesia) Stations de ski : 45 minutes (Roccaraso) Autoroute A14 : 25 minutes (sortie Val di Sangro)
Wohnung von oben nach unten auf vier Ebenen (Erdgeschoss, erster, zweiter und dritter/Dachgeschoss) mit einer Gesamtfläche von etwa 186 qm, zusätzlich zu einer Garage von 70 qm im Erdgeschoss mit Zufahrt von der öffentlichen Straße.
Im Erdgeschoss befindet sich das Treppenhaus, das zu den oberen Ebenen führt, sowie die Garage.
Der erste Stock beherbergt den Wohnbereich, bestehend aus Küche, Wohnzimmer, Esszimmer, Flur, Bad und Abstellraum, ergänzt durch einen kleinen exklusiven Hof mit Veranda und Balkon.
Der zweite Stock ist für den Schlafbereich vorgesehen und umfasst vier Schlafzimmer, Bad und Flur, mit exklusiver Terrasse auf der Rückseite und Balkon.
Der dritte Stock ist ein großer Raum, der als Dachboden genutzt wird.
Gelegen auf einem felsigen Vorsprung über dem Val di Sangro, ist Bomba ein Dorf mit mittelalterlichem Ursprung und authentischem Charme, mit einem historischen Zentrum, das von malerischen Gassen und Adelspalästen geprägt ist.
Die Gegend ist bekannt für ihr Olivenöl extra vergine und die traditionelle Küche aus der Frentaner Region, die auf echten lokalen Produkten basiert. Nur wenige Minuten vom Zentrum entfernt liegt der Lago di Bomba, ein Stausee, der in den 1950er Jahren geschaffen wurde und ein ideales Ziel für Rudern, Windsurfen, Angeln und Kanuausflüge ist. Entlang der Ufer finden sich Touristenorte, Campingplätze, Restaurants und Wander- und Mountainbike-Routen. Verbindungen und Entfernungen: Lago di Bomba: 5 Autominuten Costa dei Trabocchi (Meer): 30 Minuten (Fossacesia) Skigebiete: 45 Minuten (Roccaraso) Autobahn A14: 25 Minuten (Ausfahrt Val di Sangro)
Im Erdgeschoss befindet sich das Treppenhaus, das zu den oberen Ebenen führt, sowie die Garage.
Der erste Stock beherbergt den Wohnbereich, bestehend aus Küche, Wohnzimmer, Esszimmer, Flur, Bad und Abstellraum, ergänzt durch einen kleinen exklusiven Hof mit Veranda und Balkon.
Der zweite Stock ist für den Schlafbereich vorgesehen und umfasst vier Schlafzimmer, Bad und Flur, mit exklusiver Terrasse auf der Rückseite und Balkon.
Der dritte Stock ist ein großer Raum, der als Dachboden genutzt wird.
Gelegen auf einem felsigen Vorsprung über dem Val di Sangro, ist Bomba ein Dorf mit mittelalterlichem Ursprung und authentischem Charme, mit einem historischen Zentrum, das von malerischen Gassen und Adelspalästen geprägt ist.
Die Gegend ist bekannt für ihr Olivenöl extra vergine und die traditionelle Küche aus der Frentaner Region, die auf echten lokalen Produkten basiert. Nur wenige Minuten vom Zentrum entfernt liegt der Lago di Bomba, ein Stausee, der in den 1950er Jahren geschaffen wurde und ein ideales Ziel für Rudern, Windsurfen, Angeln und Kanuausflüge ist. Entlang der Ufer finden sich Touristenorte, Campingplätze, Restaurants und Wander- und Mountainbike-Routen. Verbindungen und Entfernungen: Lago di Bomba: 5 Autominuten Costa dei Trabocchi (Meer): 30 Minuten (Fossacesia) Skigebiete: 45 Minuten (Roccaraso) Autobahn A14: 25 Minuten (Ausfahrt Val di Sangro)
天空屋从地面延伸到地面,分四层(地面、一楼、二楼和三楼/阁楼),总面积约186平方米,另外还有一个70平方米的车库,可从公共道路直接驶入。
地面层设有通往上层的楼梯间和车库。
一楼是起居室,包括厨房、客厅、小餐厅、过道、浴室和储藏室,还附带一个带门廊和阳台的小私人庭院。
二楼用作卧室区,包括四间卧室、浴室和过道,设有后部独立露台和阳台。
三楼是一个用于阁楼的统一空间。
坐落在俯瞰桑格罗峡谷的悬崖上,Bomba是一个具有中世纪魅力的古老村庄,拥有迷人的街道和贵族宅邸的历史中心。
该地区以其特级橄榄油和弗伦塔传统美食而闻名,以当地纯正产品为基础。距离市中心几分钟路程即可抵达Bomba湖,这是在50年代建成的一个人工水库,是划艇、帆板冲浪、垂钓和划独木舟的理想场所。湖岸边设有度假村、露营地、餐厅以及徒步和山地自行车路径。联系和距离:Bomba湖:开车5分钟 Costa dei Trabocchi(海边):30分钟(Fossacesia) 滑雪场:45分钟(Roccaraso) A14高速公路:25分钟(桑格罗峡谷出口)
地面层设有通往上层的楼梯间和车库。
一楼是起居室,包括厨房、客厅、小餐厅、过道、浴室和储藏室,还附带一个带门廊和阳台的小私人庭院。
二楼用作卧室区,包括四间卧室、浴室和过道,设有后部独立露台和阳台。
三楼是一个用于阁楼的统一空间。
坐落在俯瞰桑格罗峡谷的悬崖上,Bomba是一个具有中世纪魅力的古老村庄,拥有迷人的街道和贵族宅邸的历史中心。
该地区以其特级橄榄油和弗伦塔传统美食而闻名,以当地纯正产品为基础。距离市中心几分钟路程即可抵达Bomba湖,这是在50年代建成的一个人工水库,是划艇、帆板冲浪、垂钓和划独木舟的理想场所。湖岸边设有度假村、露营地、餐厅以及徒步和山地自行车路径。联系和距离:Bomba湖:开车5分钟 Costa dei Trabocchi(海边):30分钟(Fossacesia) 滑雪场:45分钟(Roccaraso) A14高速公路:25分钟(桑格罗峡谷出口)
Жилое здание с четырьмя уровнями (первый этаж, второй, третий и мансарда) общей площадью около 186 кв. м, а также гараж площадью 70 кв. м на первом этаже с проездом через общественную улицу.
На первом этаже находится вестибюль с лестницей, ведущей на верхние уровни, и гараж.
На первом этаже находится гостиная, состоящая из кухни, гостиной, столовой, коридора, ванной комнаты и кладовки, с небольшим двором с крыльцом и балконом.
На втором этаже расположена спальная зона с четырьмя спальнями, ванной комнатой и коридором, с отдельной террасой сзади и балконом.
Третий этаж представляет собой единственное помещение под мансардой.
Расположенный на скалистом утёсе с видом на долину Сангро, Бомба – средневековая деревня с аутентичным очарованием, с историческим центром, украшенным живописными переулками и дворцами знати.
Этот район известен своим оливковым маслом Extra Virgin и традиционной прикарпатской кухней на основе местной натуральной продукции. В нескольких минутах от центра находится озеро Бомба, искусственный водоем, созданный в 50-х годах, идеальное место для гребли, виндсерфинга, спортивной рыбалки и каякинга. Вдоль берегов расположены туристические комплексы, кемпинги, рестораны и маршруты для пеших походов и маунтинбайка. Транспортные связи и расстояния: озеро Бомба: 5 минут на машине Побережье Трабоччи (Море): 30 минут (Фоссачезия) Горнолыжные курорты: 45 минут (Роккарасо) Автострада A14: 25 минут (выход в Вал ди Сангро)
На первом этаже находится вестибюль с лестницей, ведущей на верхние уровни, и гараж.
На первом этаже находится гостиная, состоящая из кухни, гостиной, столовой, коридора, ванной комнаты и кладовки, с небольшим двором с крыльцом и балконом.
На втором этаже расположена спальная зона с четырьмя спальнями, ванной комнатой и коридором, с отдельной террасой сзади и балконом.
Третий этаж представляет собой единственное помещение под мансардой.
Расположенный на скалистом утёсе с видом на долину Сангро, Бомба – средневековая деревня с аутентичным очарованием, с историческим центром, украшенным живописными переулками и дворцами знати.
Этот район известен своим оливковым маслом Extra Virgin и традиционной прикарпатской кухней на основе местной натуральной продукции. В нескольких минутах от центра находится озеро Бомба, искусственный водоем, созданный в 50-х годах, идеальное место для гребли, виндсерфинга, спортивной рыбалки и каякинга. Вдоль берегов расположены туристические комплексы, кемпинги, рестораны и маршруты для пеших походов и маунтинбайка. Транспортные связи и расстояния: озеро Бомба: 5 минут на машине Побережье Трабоччи (Море): 30 минут (Фоссачезия) Горнолыжные курорты: 45 минут (Роккарасо) Автострада A14: 25 минут (выход в Вал ди Сангро)
- Data annuncio
- 27/03/2026
- Tipologia
- Terratetto
- Diritto
- Piena proprietà
- Anno di costruzione
- Dal 1960 al 1969
- Quota
- 1/1
- Condizioni dell’immobile
- Da ristrutturare
- Stato occupazione
- Libero
- Balcone/Terrazzo
- Si
- Soffitta
- Si
- Garage
- 70 mq
- Riscaldamento
- Autonomo
- Classificazione energetica
- G
- Indice prestazione energetica
- 288,77 kWh/mq anno
- Indice prestazione energetica rinnovabile
- 0,57 kWh/mq anno
- Codice identificativo
- 6900623000495892
- Scadenza
- 08/08/2033
Tipo di catasto Fabbricati |
Categoria A3 Abitazioni di tipo economico |
Rendita € 441,57 |
Tipo di catasto Fabbricati |
Categoria C6 Stalle, scuderie, rimesse, autorimesse (senza fine di lucro) |
Rendita € 141,77 |
Tipo di catasto Fabbricati |
Categoria B.C.n.C. Beni comuni non censibili |
Rendita - |
Mappa e punti di interesse
Consulta la mappa e scopri cosa c’è nel raggio di 600 metri: potresti trovare i servizi che rendono questa proprietà perfetta per te
Cliccando sulle categorie della legenda puoi aggiungere o rimuovere i punti di interesse, per una consultazione più semplice e personalizzata